Abstract
Introduction: In older adults, anticoagulant therapy is highly effective at preventing thromboembolic stroke in atrial fibrillation (AF) and treating venous thromboembolism (VTE) but at the expense of increased bleeding risk. Established definitions of bleeding events, major or clinically relevant non-major bleeding, may not represent older adults' experiences and do not address bleeding's effects on geriatric outcomes like physical function and quality of life (QoL). Patient-reported outcome measures (PROMs) are a key method for gathering patient-centered data. Older adults have unique complexities, like frailty and multimorbidity, and existing PROMs may not be sensitive to detect what matters most to patients. The objective of this study was to develop a novel PROM to measure older adults' bleeding-related QoL.
Methods: We recruited adults ≥65 years old with AF or VTE purposely sampled by age, sex, race/ethnicity, bleeding history, and anticoagulant. We developed a focus group guide based on a hypothesized conceptual model derived from literature review of validated, relevant PROMs. We conducted virtual focus groups of 2-4 participants. Focus groups were recorded and transcribed verbatim. Data were line-by-line coded and concurrently analyzed to identify themes. We revised the conceptual model based on these themes. Using the revised conceptual model, we created a pilot questionnaire. We then administered the pilot questionnaire to additional participants in semi-structured cognitive interviews to assess for redundancy, highlight important items, remove irrelevant items, and discuss how patients interpret items.
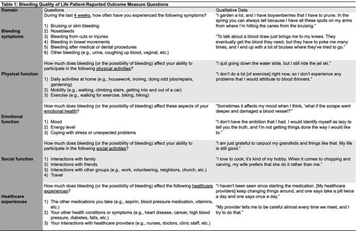
Results: A total of 29 individuals participated, 9 in focus groups and 20 in cognitive interviews. Median age was 81 years (range 69-95), 52% were women, and 69% were White (10% Asian, 10% Hispanic, 7% Black, 3% Native Hawaiian/Pacific Islander). Eight (28%) had VTE, and 21 (72%) had AF. Twenty-three (79%) were prescribed long-term anticoagulants, including 7 (24%) prescribed warfarin, and 16 (55%) prescribed direct-acting oral anticoagulants, while 6 (21%) were eligible for but not taking anticoagulants. Eight (28%) had a history of bleeding. Five domains were elicited during focus groups: 1) bleeding symptoms, 2) healthcare experiences, 3) social function, 4) emotional function, and 5) physical function. After cognitive interviews, the final questionnaire contained 5 questions corresponding to these themes, with several specific prompts embedded within each question (Table 1). Participants reported that these questions were comprehensive of their bleeding-related QoL, easy to understand, and would be relevant to gaining a better understanding of older adults' experiences.
Conclusions: The experiences of a diverse group of older adults with AF and VTE gathered through focus groups and cognitive interviews are being used to develop a novel PROM to characterize bleeding QoL. After undergoing psychometric validation, the goal will be to use the resulting PROM in research and clinical settings to enhance our understanding of bleeding QoL in older adults and ensure medical interventions align with their goals.
Disclosures
No relevant conflicts of interest to declare.
Author notes
Asterisk with author names denotes non-ASH members.

This feature is available to Subscribers Only
Sign In or Create an Account Close Modal